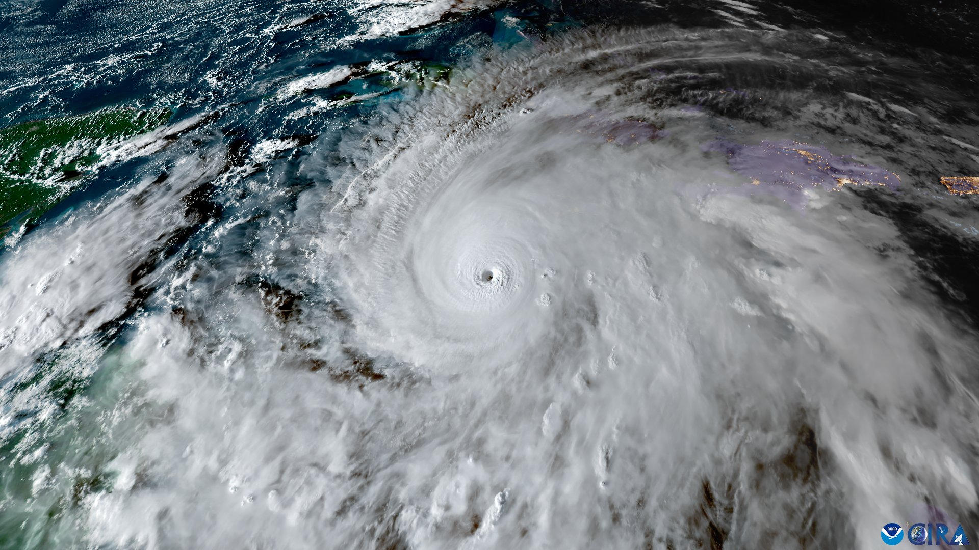
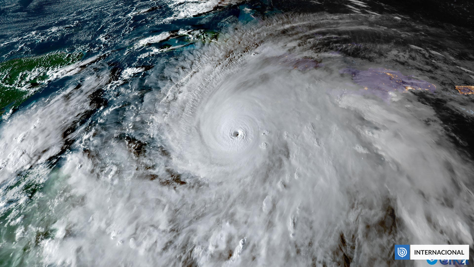
Vista del huracán Melissa, que se encuentra a unos 215 kilómetros al sureste de Kingston | EFE
visitas
VER RESUMEN
Resumen generado con una herramienta de Inteligencia Artificial desarrollada por BioBioChile y revisado por el autor de este artículo.
El huracán Melissa se localiza a 215 km al sureste de Kingston, Jamaica, con vientos de 280 km/h. Impactará Jamaica hoy con vientos catastróficos y se moverá hacia Cuba y Bahamas. Se espera que cause daños estructurales totales y precipitaciones torrenciales, lo que podría llevar a inundaciones repentinas y deslizamientos de tierra. En Kingston ya se sienten vientos fuertes.
El huracán Melissa se encuentra a unos 215 kilómetros al sureste de Kingston, la capital de Jamaica, y a 500 kilómetros al suroeste de Guantánamo, con vientos máximos sostenidos muy fuertes de 280 kilómetros por hora, según el último informe del Centro Nacional de Huracanes (NHC) de Estados Unidos a las 06:00 GMT.
En su trayectoria prevista, el centro de Melissa impactará directamente sobre Jamaica hoy, con vientos catastróficos y que amenazan la vida, inundaciones y marejada; se desplazará por el sureste de Cuba el miércoles por la mañana y continuará hacia el sur y centro de Bahamas durante la jornada del miércoles.
Actualmente, los vientos máximos sostenidos de Melissa alcanzan 280 km/h con rachas aún más intensas, manteniéndose como un huracán mayor de categoría 5 en la escala Saffir-Simpson. Aunque se esperan fluctuaciones en su intensidad, el NHC insiste en que el ciclón tocará tierra con fuerza devastadora, capaz de causar daños estructurales totales en zonas expuestas y elevadas.
Un hombre carga una lona para cubrir el techo de una casa antes del paso de Melissa en la playa pesquera de Hellshire, Jamaica | EFE
El huracán ya está dejando sentir su impacto: el Aeropuerto Internacional Norman Manley, en Kingston, ha registrado vientos sostenidos de 65 km/h y rachas de 83 km/h.
Además del viento, las precipitaciones ocasionadas por el huracán serán torrenciales, lo que podría ocasionar inundaciones repentinas “potencialmente catastróficas” y deslizamientos de tierra a gran escala.
Se espera que hoy comiencen condiciones de tormenta tropical en el este de Cuba y condiciones de huracán en áreas bajo aviso desde esta noche, hasta la mañana del miércoles.
Un pescador cubre sus barcos ante el paso del huracán Melissa en la playa pesquera de Port Henderson, Jamaica | EFE
También se prevén condiciones de tormenta tropical en Haití en la jornada de hoy y del miércoles y para mañana se esperan condiciones de huracán en el sureste y centro de Bahamas.
Además del viento, las precipitaciones ocasionadas por el huracán serán torrenciales, lo que podría ocasionar inundaciones repentinas “potencialmente catastróficas” y deslizamientos de tierra a gran escala.
Nuestra sección de OPINIÓN es un espacio abierto, por lo que el contenido vertido en esta columna es de exclusiva responsabilidad de su autor, y no refleja necesariamente la línea editorial de BioBioChile
Estamos recopilando más antecedentes sobre esta noticia, quédate atento a las
actualizaciones.
Alerta de Spoiler
Este artículo podría contener información clave sobre la trama de un libro, serie o
película.
Advertencia de imágenes explícitas
¡Cuidado! Las imágenes de este artículo pueden herir la sensibilidad de algunas personas.
VER RESUMEN
Resumen generado con una herramienta de Inteligencia Artificial desarrollada por BioBioChile y revisado por el autor de este artículo.
{{ post.resumen_de_ia }}
Este artículo describe un proceso judicial en curso
Existe la posibilidad de que los cargos sean desestimados al finalizar la investigación, por
lo cual NO se debe considerar al o los imputados como culpables hasta que la Justicia
dicte sentencia en su contra. (Artículo 04 del Código Procesal Penal)
Violencia contra la mujer
Si eres víctima o testigo de violencia contra la mujer, denuncia al
149 de Carabineros, recibe orientación llamando al
número corto 1455 del Sernameg o pulsa para
usar el chat de orientación Sernameg
Suicidio
Si necesitas ayuda psicológica especializada o conoces a alguien que la requiera, el Ministerio
de Salud tiene un teléfono de ayuda atendida por profesionales todos los días del año y las 24 horas,
marcando desde celulares el *4141. Además, puedes recurrir a Salud Responde en el 600 360 7777.
Las personas sordas pueden recibir asistencia ingresando a
este enlace.
Transporte privado
Las aplicaciones de transporte privado pagado aún no se encuentran normadas por la legislación chilena.
Estudio científico
Este artículo se basa en un estudio científico que puede ser sometido a nuevas pruebas para ser validado o descartado. Sus resultados NO deben considerarse concluyentes.